thumbnail-193-195-jubilee-highway-east-glenburnie-sa-5291-0
thumbnail-193-195-jubilee-highway-east-glenburnie-sa-5291-1

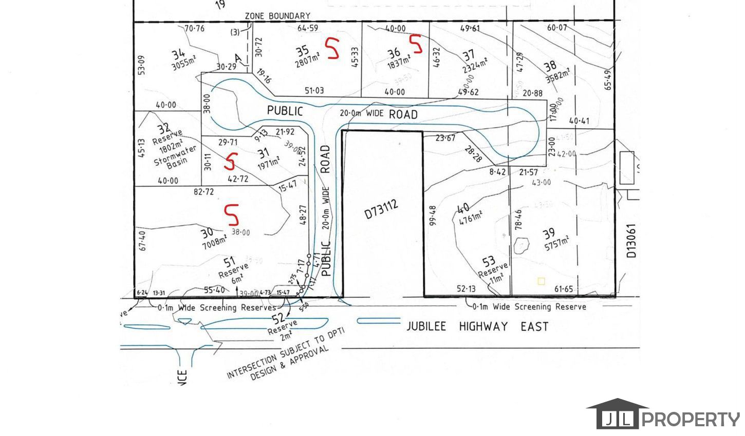
193-195 Jubilee Highway East Glenburnie SA 5291

land For Sale Contact Seller
Specification

Surface Area 5 M2

* 8 NEW ALLOTMENTS - ZONED - E EMPLOYMENT
* FULLY SERVICED - POWER - SEWER - MAINS WATER - STORM WATER
* B DOUBLE ROAD ACCESS TO ALLOTMENTS
* LOT 31 - 1837m2
* LOT 34 - 3055m2
* LOT 35 - 2807m2
* LOT 36 - 1837m2 UNDER CONTRACT
* LOT 37 - 2324m2
* LOT 38 - 3582m2
* LOT 39 - 5757m2 - FRONTING HIGHWAY
* LOT 40 - 4761m2 - FRONTING HIGHWAY
FURTHER DETAILS CONTACT ALLEN SMITH
0419 869 854 or RLA 269823

Updated at 8 March 2024 by Allen Smith

Loading...

Last 7 Days Visitor & Contact Data

Related Properties

JordlingHome Guest Post
© 2023 by JordlingHome | Page loaded in: 0.041 sec